Historically strong Hurricane Melissa nears landfall in Jamaica

By Andre Rich

KINGSTON – Rising floodwater and extreme winds hit Jamaica Tuesday (28) as the Caribbean island braced for imminent landfall of Hurricane Melissa and officials pleaded with residents to take shelter.

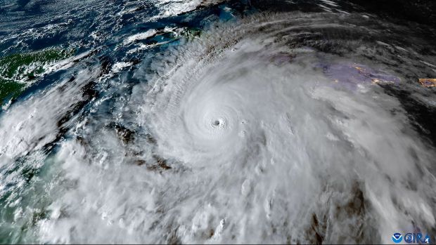
The Category 5 storm, one of the most powerful Atlantic hurricanes on record and the largest ever to hit Jamaica, gathered pace as it closed in.

“Last chance to protect your life,” said the US National Hurricane Centre (NHC) mid-morning. “This is an extremely dangerous and life-threatening situation! Take cover now!”

The NHC said Melissa’s winds had reached a staggering maximum speed of 185 miles (295 kilometres) per hour.

That sustained speed was even more potent than most of recent history’s most devastating storms, including 2005’s Katrina, which ravaged the US city of New Orleans.

“For Jamaica it will be the storm of the century so far,” said Anne-Claire Fontan of the World Meteorological Organization.

Seven deaths – three in Jamaica, three in Haiti and one in the Dominican Republic – have already been blamed on the deteriorating conditions, but officials were concerned that many people were ignoring pleas to get to safety.

“Jamaica this is not the time to be brave,” local government minister Desmond McKenzie told a briefing.

“There is still a small window of opportunity,” McKenzie said. “Let us see if we can use it wisely.”

He lamented that many of the country’s approximately 880 shelters were still in large part empty.

Surges in seawater combined with rainfall – which will likely be measured in feet, not inches – could trigger deadly floods and landslides.

“Keep Safe Jamaica,” posted Olympian sprinter Usain Bolt, one of Jamaica’s most famous figures, on X.

Ishack Wilmot, who was hunkered down with family in Kingston, told AFP they were safe and dry for now but had lost electricity and water overnight.

“The winds are up and gusting,” he said. “Even though we are away from the eye, it’s still really intense and loud.”

The Jamaican Red Cross, which was distributing drinking water and hygiene kits ahead of infrastructure disruptions, said Melissa’s “slow nature” had made the anxiety worse.

The hurricane had quickened slightly but had been lumbering along at a human walking pace, meaning there it could linger over the tropical island renowned for tourism.

“You anticipate that maybe within four hours it would be gone… but Melissa is not looking like that,” Red Cross spokesperson Esther Pinnock told AFP.

Melissa was set to strike nearby eastern end of Cuba late Tuesday after pummelling Jamaica.

The mammoth storm appeared set to wreak devastation on the scale of some of the worst hurricanes in recent memory like Katrina, Maria or Harvey.

Scientists say human-driven climate change has exacerbated massive storms and increased their frequency.

Meteorologist Kerry Emanuel said global warming was causing more storms to rapidly intensify as Melissa did, raising the potential for enormous rains.

“Water kills a lot more people than wind,” he told AFP.

The last major hurricane to impact Jamaica was Beryl in July 2024 — an abnormally strong storm for the time of year.

“Human-caused climate change is making all of the worst aspects of Hurricane Melissa even worse,” said climate scientist Daniel Gilford.

– Agence France-Presse

Comments are closed, but trackbacks and pingbacks are open.

otc high blood pressure treatment blood pressure guidelines medications blood pressure pills that is safe for the liver high blood pressure medication levothyroxine blood pressure medication that reduces blood pressure is there any difference in blood pressure pills high blood pressure child medication blood pressure medication recommendation nose blue blood pressure medication blood pressure is 150 68 should i take my medication blood pressure medication while nursing taking a bunch of high blood pressure pills aerobic exercise and blood pressure medication good blood pressure medication acupuncture treatment for low blood pressure best over the counter pills for high blood pressure blood pressure pill amlodipine besylate high blood pressure signs and treatment moderna vaccine blood pressure medication which blood pressure drugs do not cause tinnitus blood pressure medication fights cancer blood pressure medication skin rash side effects of high blood pressure medication impotence medication to avoid on blood pressure medications high blood pressure rx medication peripheral neuropathy caused by blood pressure medication high blood pressure in pregnancy treatment nice runny nose do to blood pressure medication how to get off of blood pressure pills hiv medication and high blood pressure niacin treatment for high blood pressure two drugs for blood pressure that caused cancer high blood pressure causing medications high blood pressure medication names canada blood pressure medication side effects alcohol i take 3 blood pressure medication blood pressure pills that help with anxiety what iv drug raises blood pressure list of doctors who formulated blood pressure medications how to remember blood pressure medications sleeping pills blood pressure how fast does blood pressure medication take effect sweet n low high blood pressure medication home treatment for blood pressure high blood pressure medication matrocet high blood pressure medication doses blood pressure drug bystolic iberstaron blood pressure medication blood pressure medications st alphabetical celexa and high blood pressure medication does blood pressure pills irritation skin can i take combivent with high blood pressure medication blood pressure medications beta blockers list what to do if blood pressure medication does not work drugs to lower your blood pressure red beet pills for blood pressure taurine and blood pressure medications how ling for garlic pills to lower blood pressure blood pressure medication list and side effects can i take aspirin with high blood pressure medication blood pressure medication teaching about hot tubs water pills high blood pressure over counter what is an arb medication for blood pressure resveratrol high blood pressure medication high blood pressure medication and weight loss gum disease and blood pressure medication benzenesulfonic acid in blood pressure medication taking two blood pressure pills by mistake allergy pills for high blood pressure blood pressure prescription drugs safety blood pressure medication in pregnancy trazodone and blood pressure medication which blood pressure medication is linked to skin cancer list of blood pressure medications with the least side effects could blood pressure medication make blood thicker disadvantages of high blood pressure medication blood pressure medications ludipril typical drugs for high blood pressure otc water pills for high blood pressure blood pressure medications that do not doncause bowel blockage high blood pressure after corrosion treatment how soon does high blood pressure medication work blood pressure medication teaching amertyrine high blood pressure medication increased blood pressure and heart rate after drug overdose over the counter drugs high blood pressure blood pressure medication 25 is blood pressure medication a nitrate most effective blood pressure pills blood pressure medical does red yeast rice interfere with high blood pressure medication can apple cider vinegar pills lower blood pressure does blood pressure medication give you headaches high blood pressure medication and driving should you take blood pressure pills with food inn blood pressure drugs can you eat bananas if taking blood pressure medication popular high blood pressure medication blood pressure medication los blood pressure medication second drug low blood pressure and hypertension medication do water pills lower blood pressure high blood pressure pill aqunadine high blood pressure cholesterol medication how does medication lower blood pressure acetaminophen blood pressure medication blood pressure medication 30 mg that works around the heart what does grapefruit do to blood pressure medication can red yeast rice be taken with blood pressure medication pharmaceutical treatment for high blood pressure are blood pressure pills statins blood pressure pills that start with r blood pressure medication and male impotence taking baby aspirin with other high blood pressure medications what is the medical name for a blood pressure cuff leg cramps and blood pressure medication blood pressure pill name starts with p natural high blood pressure treatments blood pressure medication names losartan higher blood pressure with radiation treatment medical marijauna high blood pressure how to avoid medication for high blood pressure what time is best to take blood pressure medication medication for palpitations and high blood pressure latest news on blood pressure treatment what if i take two blood pressure pills does xanax interfere with blood pressure medication amlipan blood pressure medication vitamin e and blood pressure medication tell me the side effects of high blood pressure medication herbs pills to lower blood pressure blood pressure medication urge to urinate what medication will safely replace lisop as blood pressure medicine active ingredient in high blood pressure medication blood pressure medications cause adrenal tumors is biktarvy ok to take with high blood pressure medication alembic blood pressure medication sandoz blood pressure medication exercise high blood pressure medication grapefruit pills blood pressure treatment for high blood pressure at home blood pressure medication for patients with osa cycle on off blood pressure medication blood pressure drugs that do not cause heat sensitivity blood pressure medications that do not cause coughing what blood pressure medications do not cause rosacea pfizer blood pressure medication side effects do garlic pills really help lower blood pressure should i take medication for anxiety induced blood pressure treatment for uncontrolled blood pressure decongestant medication high blood pressure can stiff days be used with high blood pressure medication how long does it take medication to lower blood pressure what if i miss a blood pressure pill tribenzor high blood pressure pills law lawsuit 2023 treatment of sudden drop in blood pressure zoloft and blood pressure medication orange high blood pressure pill cancer blood pressure pill why cant people with high blood pressure take keto pills how long for blood pressure to go down mini pill should i get second opinion before taking blood pressure medication blood pressure erectile dysfunction medication high blood pressure medication m lot ben medical device lowers blood pressure puppy ate blood pressure pill are there medications for low blood pressure dod blood pressure medication is losartan a blood pressure pill combination drugs for blood pressure marijuana and blood pressure medication interaction blood pressure medication interactions with grapefruit can you eat bananas while taking high blood pressure medication steps before going on high blood pressure medication blood pressure medication when to cut down foods to avoid on blood pressure medication blood pressure medications depression blood pressure medication non beta blocker tattoos and high blood pressure medication what is the medications used to lower blood pressure quickly high blood pressure medication leg swelling blood pressure medication men in your 40s blood pressure medication wieight loss blood pressure medication hy can blood pressure medication lower blood sugar does blood pressure medication make you pee natural treatment high blood pressure during pregnancy can you take l arginine with high blood pressure medication what class of blood pressure medication can can blood pressure pills reduce appetite faa approved medication for high blood pressure high blood pressure medication during pregnancy best blood pressure medication for type 2 diabetes blood pressure and pain medication pain medication that does not affect blood pressure best high blood pressure drugs on the market if you take incorrect medications to lower blood pressure low blood pressure treatments does your body have to adjust to blood pressure medication why water pill for high blood pressure drugs for treatment of very high blood pressure during pregnancy can i drink grapefruit juice with high blood pressure medication can blood pressure pills make you feel cold high blood pressure medication that helps with weight loss amlodipine blood pressure drug blood pressure medication for infants varicose veins blood pressure medication life extension high blood pressure medication does tylenol interfere with blood pressure medication can i take diamox with other high blood pressure medications prestige medical blood pressure cuff calibration drugs used for high blood pressure chamomile tea and high blood pressure medication narcotics stored alongside blood pressure medications in does nutrigrove blood pressure pills work extremely low blood pressure treatment blood pressure medication for iga nephropathy blood pressure medication low side effects can i increase my blood pressure medication what is the best blood pressure medication to take drugs that cause increased blood pressure does biotin interfere with high blood pressure medication cani od on high blood pressure pills blood pressure medication that also helps with jerking blood pressure medication categories first line treatment of high blood pressure medication for low blood pressure in usa armour thyroid drug interactions blood pressure meds hepatitis c treatment high blood pressure high blood pressure arb drugs low blood pressure treatment with essential oils high blood pressure medication list for pregnancy blood pressure medication and snake venom blood pressure medication low dose liquid blood pressure medications ivf drugs and high blood pressure left my blood pressure medication does it matter when you take blood pressure medication can you take blood pressure pills twice a day privilin blood pressure medication how big are blood pressure pills once you start blood pressure medication can you stop diuretic in blood pressure medication what medication reduce blood pressure new blood pressure treatment prescribed home medications for high blood pressure blood pressure medication side effects forums taking blood pressure pills dizzy when bend over a lot blood pressure medication and nyquil cinnamon pills and high blood pressure temporary high blood pressure treatment single agent blood pressure medication blood pressure medication made in china fda approved medications to reduce blood pressure immediate treatment for high blood pressure at home best time to take blood pressure pills muscle loss on high blood pressure medication blood pressure medication when needed treat high blood pressure without medication blood pressure medication side effects for men cbd pills for high blood pressure blood pressure regulation without medication blood pressure medication and pre workout high blood pressure alzheimer disease and antihypertensive treatment miss blood pressure medication blood pressure pills suicide peaceful emergency drugs for low blood pressure common blood pressure medications in canada systolic blood pressure define medical viril and high blood pressure pills can statin drugs help lower blood pressure do you have to wean off blood pressure medication new drugs for blood pressure when is high blood pressure medication necessary drugs for hi blood pressure cold medications and blood pressure taking 2 blood pressure pills mistake why doctors stopped prescribing blood pressure medication common high blood pressure medication canada what side effects does blood pressure medication have ulcer medication high blood pressure can high blood pressure medication elevate alkaline phosphatase blood pressure medication warning getting blood pressure medication jamaica alkaline water and blood pressure medication blood pressure going up and down with medication drugs reduce systolic blood pressure treatment for rapid high blood pressure low blood pressure alternative treatment do all high blood pressure medications cause weight gain medication for increasing blood pressure blood pressure medication for african american males vitamins for high blood pressure treatment aleve with blood pressure medication how to lower blood pressure without pills blood pressure triple pill who blood pressure guidelines for hygiene treatment what drug reduces blood pressure blood pressure medications enalapril met blood pressure medication